Ion Channels

离子通道会形成孔洞,通常是多聚质膜蛋白,可以针对化学、温度或机械信号应答而打开和关闭,开放的通道允许特定的离子以电化学梯度快速穿过跨膜通道,从而产生可激发细胞传播的电信号,离子通道在临床医学中具有极其重要的意义,因为它们与多种疾病相关,尽管如此,我们对离子通道生物学的理解仍然存在很大的空白,这限制了我们开发更有效和更具针对性的药物的能力。

GeneTex提供了出色的抗体来支持离子通道研究。请参阅下列热门研究抗体,或在Gene Tex网站上查看我们相关产品的完整列表。

 

热门研究产品

 

HCN1 antibody

HCN1 antibody (GTX131334)

IHC-Fr (left; Green) and IHC-P (right) analysis of HCN1 expression in mouse cerebellum.

 
DPP6 antibody

DPP6 antibody (GTX133338)

IHC-Fr (left; Green) and IHC-P (right) analysis of DPP6 expression in mouse hippocampus.

 
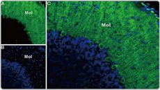
IP3 Receptor I antibody

IP3 Receptor I antibody (GTX133104)

IHC-Fr (left; Green) and IHC-P (right) analysis of IP3 Receptor I expression in mouse cerebellum.

 
 
CACNB4

CACNB4
(GTX100202)

IHC-Fr (left; Green) and IHC-P (right) analysis of CACNB4 expression in mouse cerebellum.

 
VGluT1 antibody

VGluT1 antibody (GTX133148)

IHC-Fr (left; Green) and IHC-P (right) analysis of VGluT1 expression in mouse cerebellum.

 
P2X7 antibody

P2X7 antibody (GTX104288)

IHC-Fr (left; Green) and IHC-P (right) analysis of P2X7 expression in mouse retina (left) and rat brain (right).

 
 

 

Cav1.2 antibody

Cav1.2 antibody (GTX54754)

IHC analysis of Cav1.2 (red) and Calbindin 28K (green) expression in mouse cerebellum.

 
Cav2.1 antibody

Cav2.1 antibody (GTX54753)

IHC analysis of Cav2.1 (red) and GFAP (green) expression in mouse cerebellum.

 
Cav3.1 antibody

Cav3.1 antibody (GTX54760)

IHC analysis of Cav3.1 expression (green) and DAPI (blue) in rat cerebellum.

 
 

 

Cav3.2 antibody

Cav3.2 antibody (GTX54813)

IHC analysis of Cav3.2 expression (red) and parvalbumin staining (green) in mouse cerebellum.

 
TRPV1 antibody

TRPV1 antibody (GTX54762)

IHC analysis of TRPV1 expression (red) and parvalbumin staining (green) in rat dorsal root ganglion.

 
TRPC6 antibody

TRPC6 antibody (GTX54757)

IHC analysis of TRPC6 expression (red) and parvalbumin staining (green) in mouse cerebellum.

 
 

 

Nav1.6 antibody

Nav1.6 antibody (GTX54842)

IHC analysis of Nav1.6 expression (green), parvalbumin staining (red) and DAPI (blue) in mouse hippocampus.

 
ASIC1 antibody

ASIC1 antibody (GTX54804)

IHC analysis of ASIC1 expression (red) and parvalbumin staining (green) in rat brain.

 
ASIC3 antibody

ASIC3 antibody (GTX54807)

IHC-Fr analysis of ASIC3 (red) and ASIC1 (green) expression with DAPI (blue) in rat dorsal root ganglia.